IL 9 Reconstruction (Martin Luther King Dr. to Carnahan Dr.
Bloomington, Illinois
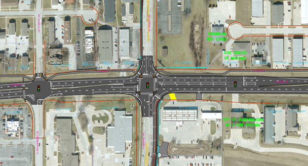
IL 9 Reconstruction

HEI was selected by IDOT to provide Phase I and II engineering services for this $55M federal/state funded, 6.5 mile urban street rehabilitation project located from Martin Luther King Drive to Carnahan Drive in the City of Bloomington.
The project consisted of milling, HMA resurfacing of multi-lane pavements, drainage improvements, sidewalk replacement including ADA ramps, addition of bike lanes, addition of transit stop accommodations, traffic signal improvements, and other intersection improvements to increase safety.
HEI performed Phase I and II engineering services including accident analysis, traffic management plan, bicycle travel assessment, sidewalk and ADA evaluation (375 ramps), drainage study, utility coordination, environmental coordination, IDOT/FHWA coordination, public involvement including conducting public information meetings/open houses and meeting with individual property owners, traffic signal study/layout (24 locations), intersection design and type studies (5 intersections) including evaluation of roundabouts, HSM calculations, retaining wall studies, access control
evaluation, soil borings, project phasing plan, development of Project Development Report, and plans, specifications, and estimates for state lettings.
Due to the overall size and complexity of the project, HEI was tasked with developing a phasing plan that cost effectively allowed the project to be constructed under multiple contracts over multiple years.
HEI was instrumental in helping IDOT secure $52.8M in federal grant funding through the USDOT Rural Surface Transportation grant program.
